Siêu bão mạnh nhất năm Melissa hướng tới vùng đổ bộ thứ 2
Siêu bão Melissa đổ bộ Jamaica ở cường độ cuồng phong cấp 5, là cơn bão mạnh nhất đổ bộ vào đảo quốc Caribe trong lịch sử hiện đại.

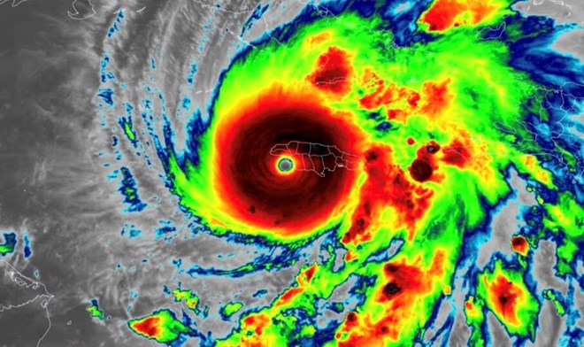
Siêu bão Melissa đổ bộ Jamaica chiều 28.10 và đang hướng tới Cuba. Ảnh: Cơ quan Khí quyển và Đại dương Quốc gia Mỹ (NOAA)
Tin bão mới nhất sáng 29.10 cho hay, siêu bão Melissa đổ bộ vào khoảng 13h chiều 28.10, giờ địa phương, gần New Hope, Jamaica với sức tàn phá khủng khiếp cấp 5.
Sức gió 298 km/h khiến Melissa trở thành cơn bão mạnh nhất từng đổ bộ Jamaica. Melissa cũng là một trong những cơn bão mạnh nhất từng đổ bộ vào lưu vực Đại Tây Dương, tương đương với 2 cơn bão khác - Dorian năm 2019 và bão Ngày Lao động năm 1935.
Melissa là cơn bão mạnh nhất đổ bộ vào bất kỳ nơi nào trên lưu vực Đại Tây Dương kể từ bão Dorian năm 2019. Dorian có sức gió lên tới 298 km/h khi đổ bộ vào quần đảo Abaco của Bahamas.
Trước đây, cơn bão mạnh nhất đổ bộ vào Jamaica là cơn bão Gilbert năm 1988. Gilbert là bão cuồng phong cấp 4 khi đổ bộ vào phía tây Kingston.
Sau khi tương tác với đất liền Jamaica, bị cắt đứt nguồn nước biển nóng ấm để duy trì cường độ, bão Melissa đã hạ xuống cấp 4, với sức gió 235 km/h.
Sau khi càn quét Jamaica, Melissa được dự báo đổ bộ vào đông nam Cuba trong vài giờ tới, ở cường độ bão cấp 4 hoặc cấp 3.
Các nhà dự báo thời tiết cảnh báo, Cuba dự kiến hứng chịu lượng mưa từ 500-760mm, có thể gây ra lũ quét và lở đất nguy hiểm đến tính mạng, sức gió từ 210 đến 225 km/h gần tâm bão khi đổ bộ và mực nước dâng lên tới 3,6m.
Trước khi bão đổ bộ lần 1 ở Jamaica ở cường độ cấp 5, chuyên gia về bão Anne-Claire Fonta của Tổ chức Khí tượng Thế giới (WMO) nhận định: "Đây chắc chắn là cơn bão của thế kỷ với Jamaica".
Melissa đã liên tục duy trì chỉ báo về cường độ dữ dội. Cơn bão số 13 ở Đại Tây Dương đã duy trì cường độ cuồng phong cấp 5 trên 24 giờ. Đây là kỷ lục không nhiều cơn bão khác ở lưu vực Đại Tây Dương đạt được.
Mùa bão Đại Tây Dương 2025 có 2 cơn bão cấp 5 khác, Humberto và Erin. Cả hai cơn bão này đều duy trì cường độ cực đại trong vòng dưới 12 giờ. Năm ngoái, siêu bão Milton và Beryl đạt cấp 5, nhưng chỉ duy trì được cường độ này trong 18 giờ và 12 giờ. Năm 2023, cơn bão cấp 5 duy nhất, bão Lee, chỉ duy trì cường độ cực đại trong vòng chưa đầy 12 giờ.





